【奄美大島 / 1組様限定貸切案内】ウミガメシュノーケル
- 初心者歓迎・初挑戦
- 手ぶらOK
- 送迎あり
- 一人参加可
- 貸切可
- 雨天催行可
- 子供参加可
- 写真プレゼント
- 動画プレゼント
-
予約可能数1~
-
参加年齢10歳 ~ 60 歳
-
体験時間1~2時間
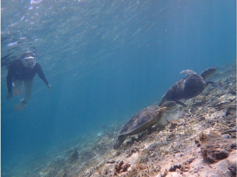
\ウミガメ遭遇率90%以上!/
■□■□■□■□■□■□■□■
▶︎奄美大島の綺麗な海でのシュノーケル体験
ウミガメと一緒にお写真、動画撮影いたします。
ウミガメ以外にもカラフルな南国の熱帯魚やサンゴ礁など、海中の美しい世界を体感できます。
シュノーケルセット一式、温水シャワー、シャンプー、リンス、ボディソープ、バスタオル、ドライヤー付きで手ぶら参加OK!
▶︎1組様貸切ツアー
初めての方や泳ぎの苦手な方も安心!
泳ぎが苦手な方でもプロのガイドが付きっきりでサポートするので、安心してお任せください!
HAKUNAMATATA AMAMIのツアーは、すべて追加料金なしの完全貸切制。
ご家族、カップル、友人同士など、1組限定でご案内します。
泳ぎが苦手な方も大歓迎。
周りのペースに合わせる必要がないため、参加者に合わせて柔軟に対応できます。
「自分たちのペースで楽しめる」ことを何より大切にしてます。
ツアー中にガイドが撮影した写真・動画は、すべて無料でプレゼントします。
奄美大島の自然の中で過ごす時間や、ふとした表情、体験の瞬間をしっかり記録。
自分たちでは撮影が難しいシーンや、集合写真、自然と一体になった姿も残せます。
撮影に気を取られることなく、目の前の体験に集中できるのも魅力のひとつです。
奄美大島公認の認定ガイドがご案内します。
自然や野生動物に関する専門知識を持ち、安全管理と環境への配慮を徹底。
その日の天候やフィールドの状況を見極めながら、
「今だからこそ出会える奄美」を丁寧に案内します。
初めて奄美を訪れる方はもちろん、自然体験が不安な方でも安心して参加していただけます。
ご希望の日程を選択してください
- 即時予約OK!
- 受付終了
- 受付不可
- リクエスト予約
料金について
基本料金
※表示価格は全て税込表示です。
※上記は基本料金になります。
※日程によって料金が異なる場合がございますので、日程を選択した後に表示される料金表をご覧ください。
| 料金に含まれるもの | |
|---|---|
| 料金に含まれないもの |
| お支払い方法 |
|
|---|---|
| 特定商取引法に関する表示 | 特定商取引法に関する表示 |
| 予約キャンセル料金発生日 | 催行日の2日前からキャンセル料金が発生いたします。 |
| キャンセルに関して | お客様都合によるキャンセルの際は以下のキャンセル料を申し受けますのでご了承下さい。 2日前キャンセル:50% 前日キャンセル:80% 当日キャンセル:100% 無断キャンセル:100% |
| 開催中止に関して | 基本的には雨天決行。 増水や雷などにより危険が予想される場合は中止となります。 |
このプランの詳細情報
| 最少催行人数 | 1人 |
|---|---|
| 予約可能数 | 1~ |
| 所要時間について |
1~2時間
120分(シュノーケル体験60分、準備・カヌーレクチャー・解散60分)
|
| 開催期間 | 通年 |
| 集合時間 | ご予約時間の15分前にお越しください。 |
| 予約締切 | 2日前16:59まで |
| 更衣室 | トイレ | ||
|---|---|---|---|
| シャワー | 駐車場 | ||
| ロッカー |
| 服装・持ち物について | 水着着用 |
|---|---|
| レンタル品について | シュノーケルセット一式、シャワー、シャンプー、リンス、ボディソープ、バスタオル、ドライヤー(全て無料) |
| コース参加にあたってのご注意 | ・雨天決行ですが、悪天候時は中止にする場合がございます。お電話にてご連絡いたします。 ・体調が優れない場合は速やかにお知らせください。 ・貴重品や荷物は各自での管理をお願いします。 |
|---|---|
| その他特記事項 | ・傷害及び賠償保険加入しております。 |
アクセス・マップ
ばしゃ山村第2駐車場
奄美市名瀬近郊であれば他ツアー状況により送迎可能です。
お問い合わせください。
奄美空港から15分
奄美市名瀬から車で30分
駐車場:180台、大型バス:可
【バス】
名瀬からー奄美空港行き「ばしゃ山」下車
空港からー名瀬行き「ばしゃ山」下車
みんなの体験談 0件
このプランに関するQ&A このプランについて質問する
このプランの提供事業者
安全面に対するアピールポイント
奄美群島認定エコツアーガイド
上級救命技能認定
JEFFシュノーケルインストラクター
日本SUP協会ベーシックインストラクター
1級小型船舶操縦士
特殊小型船舶操縦士
| 加入保険の情報 | 損保ジャパン 損害保険金1000万円 その他多数 |
|---|---|
| 所持ライセンス・資格名 | 奄美群島認定エコツアーガイド 上級救命技能認定JEFFシュノーケルインストラクター1級小型船舶操縦士 特殊小型船舶操縦士 日本SUP協会ベーシックインストラクター |
| 在籍スタッフ数 | 1 人 |
| インストラクター数 | 1 人 |
